売地管理番号:34177

  • 現地写真
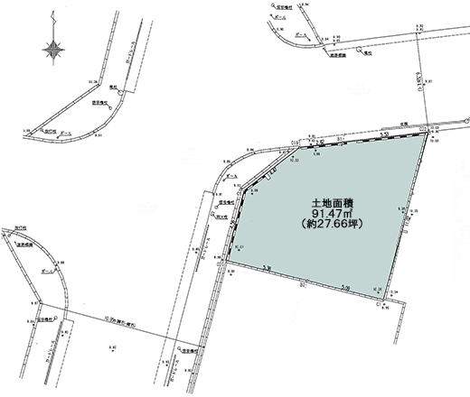
  • 地形図
  • 現地写真
  • 現地写真
  • 前面道路
各画像クリックで拡大
路線・最寄駅 小田急線 下北沢駅 徒歩 5 分
その他交通手段 京王井の頭線「池ノ上」駅徒歩6分

京王井の頭線「下北沢」駅徒歩5分

所在地 世田谷区代沢2丁目
価格 25,000 万円
敷地面積 91.47m²
土地権利 所有権   地目 宅地
建蔽率 80%   容積率 300%
都市計画 市街化   用途地域 近隣商業
現況 更地
私道面積
接道状況 北側 6.3m 公道 / 北西側 10.9m 公道
引渡し 相談
条件など 現況渡し   セットバック
地代   借地期間
国土法届出 不要   取引態様 媒介
備考 計画道路有
QRコード
  • この物件近隣の小学校
  • この物件近隣の中学校
※ 姉妹サイトが別ウインドウで開きます
  • ■6.3m×10.9m角敷地につき、日照・通風良好です■現況更地につき、建築に即着手できます
  • ■建築条件はありませんので、自由にハウスメーカーや設計事務所を選定できます
  • ■急行停車駅「下北沢」駅へ徒歩5分の立地です
この物件の現地を見たい
この物件の資料が欲しい

周辺MAP

 
世田谷区代沢2丁目周辺の地図です。物件の所在地を特定するものではありません。

おすすめ物件Recommend

13112
 
売地
京王井の頭線 東松原
羽根木
22,000 万円
■敷地50坪超・整形地の売地が世田谷区羽根木1丁目に登場
13112
 
売地
東急東横線 自由が丘
奥沢
27,000 万円
■「自由が丘」駅徒歩9分【売地】50坪■「建築条件」はありません。お好みのハウスメーカー、プランで建築できます
13112
 
売地
東急東横線 祐天寺
下馬
25,000 万円
■東南5.8m公道に面し、日照良好です■2026年3月更地予定です
13103
 
売地
都営大江戸線 赤羽橋
三田
29,000 万円
■桜田通りから徒歩1分・「建築条件なし」売地■土地面積約21坪・近隣商業地域/商業地域内にあるため、様々な用途の建物が建築可能です
お気軽にお問い合わせください 03-3424-8111
定休日
毎週水曜日
メールでのお問い合わせはこちら

Company

株式会社 健ハウジング
東京都世田谷区北沢2-1-16(本社)
小田急線/井の頭線 下北沢駅 徒歩5分
  • 不動産売買物件
  • 不動産賃貸物件
  • 不動産投資収益物件
  • 採用サイト
  • facebook
Copyright (C)1998-2026 株式会社健ハウジング / 世田谷区の不動産会社